Memorandum

City of Lawrence

Planning and Development Services

 

TO:

Diane Stoddard, Interim City Manager

FROM:

Sandra Day, Planner II

DATE:

September 25, 2015

RE:

Dedication of easements associated with the Final Plat for Langston Commons, PF-15-00405, a one lot commercial subdivision

 

Background

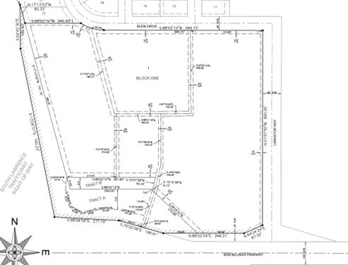
The Final Plat has been submitted for review and administrative approval. The proposed Final Plat conforms to the approved Preliminary Plat with the same proposed utility easements and rights-of-way with the exception of a change to the interior access easement.

 

The approved preliminary plat included interior access easements. However, the applicant does not at this time have a specific site design or end user of the land and proposes to defer the dedication of interior access easements until such time that a known user and site plan are more formulated. This will allow the correct placement of interior easements without undue requirements to vacate and then rededicate such easements if they are not properly located to serve the ultimate development.  This change is reasonable and can be accommodated through future development applications as required.

 

Public Improvement Plans have been submitted to the City for review and approval.

 

The Minor Subdivision has been placed on the City Commission’s agenda for acceptance of dedication easements as shown on the plat. A copy of the Final Plat is attached.

 

Action

Accept the dedication of utility easements as shown on the Final Plat, PF-15-00405, for the Langston Commons.


 



Future Neighborhood Commercial Lot with Inteiror Access Easements shown on Preliminary Plat.

Future Neighborhood Commercial Lot without Inteiror Access Easements shown on Final Plat.